Beach Homes Realty
Enter City, Zip or MLS

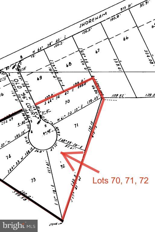
1407 (lot 72) old court

EDGEWATER, MD 21037

$100,000

0.4 AC LOT
Land-Land
Image 1
Image 2
Image 3
Acreage 0.41
Status Active Under Contract
MLS # MDAA2122990
County ANNE ARUNDEL
More Info
Category Land-Land
Status Active Under Contract
Acreage 0.41
MLS # MDAA2122990
County ANNE ARUNDEL
This is one of 3 separate and adjacent parcels. Lots 70, 71 and 72 are each available from this seller. Buyer to determine number of building sites for the 3 lots (consolidating or amending lot lines if needed). Lots may be sited in the critical area and buffer management may apply. Separately each lot is .3 or .34 or .41 acres and all three lots combined is 1.05 acres. See additional listings. It is seller’s preference to sell all 3 lots together/simultaneously and has priced accordingly for this opportunity. Most likely 1-2 building sites are possible but must be verified by the county. Old Ct is currently a paper road which can be accessed from Shoreham Beach Rd by walking, not driving. It is located between 4105 and 4101 Shoreham Beach Rd. Lots are wooded and not cleared. Please contact listing agent for access details and be respectful of neighbors. Well water. Public septic available with stub for sewer (public septic) extension available where Old Ct meets Shoreham Beach Rd. Survey not available. Buyer to verify accuracy of all information and to do any further due diligence. No sign on property.
Location not available

Exterior Features

  • Construction Single Family
  • Garage No
  • Water Well Required, Well Permit Not Applied For
  • Sewer Public Hook/Up Avail, Public Septic

Neighborhood & Schools

  • Elementary School MAYO
  • Middle School CENTRAL
  • High School SOUTH RIVER

Financial Information

  • Zoning R2

Additional Services

Internet Service Providers

Listing Information

Listing Provided Courtesy of Lofgren-Sargent Real Estate - (410) 956-0713
© Bright MLS. All rights reserved. Listings provided by Bright MLS from various brokers who participate in IDX (Internet Data Exchange). Information deemed reliable but not guaranteed.
Listing data is current as of 03/03/2026.

Contact Our Agent

By clicking “Submit”, you agree that Beach Homes Realty, its affiliates, and real estate professionals may contact you by phone, text, or email to any phone number and email address you provided, including by automated means, even if your number is on a federal, state, or our internal Do Not Call list. You also agree to our Terms of Use and Privacy Policy.