Beach Homes Realty
Enter City, Zip or MLS

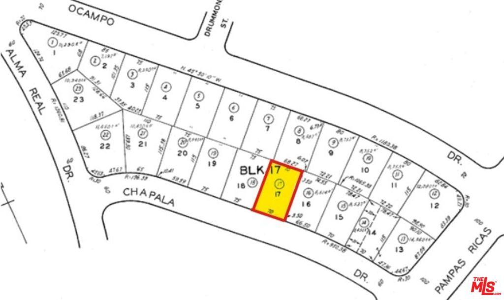
726 chapala drive

Pacific Palisades, CA 90272

0.18 AC LOT
Land
Image 1
Acreage 0.1849
Status Off Market
MLS # 26650361
County Los Angeles
More Info
Category Land
Status Off Market
Acreage 0.1849
MLS # 26650361
County Los Angeles
Premier opportunity to create a custom residence in the highly sought-after Huntington Palisades neighborhood of Pacific Palisades. This vacant 8,053 SqFt parcel zoned R1V1 is ideally positioned on a quiet residential street, offering an exceptional setting for a thoughtfully designed luxury home. Located just minutes from the beach, Palisades Village, scenic hiking trails, and award-winning public and private schools. Enjoy close proximity to world-class dining, boutique shopping, and everyday conveniences, all while maintaining a peaceful neighborhood atmosphere. Coastal breezes and the surrounding natural beauty enhance the appeal of this premier Westside location. With easy access to Sunset Boulevard and Pacific Coast Highway, commuting throughout the Westside, Malibu, Brentwood, and Santa Monica is seamless. This is an exceptional chance to design a home tailored to your lifestyle in one of Los Angeles' most prestigious coastal communities surrounded by high-end residences and ongoing luxury development. An outstanding offering for owner-users, builders, and investors alike.
Location not available

Exterior Features

  • Construction Single Family
  • Garage No
  • Sewer Other

Financial Information

  • Parcel ID 4411009017
  • Zoning LAR1

Listing Information

California DRE #02247371